We Bought A Small Mobile Home Park!

Despite emphatically stating that we are not buying any real estate this year we ended up buying a mobile home park, and its only April! What the heck! As if we didn’t already have a full schedule of real estate projects. This is going to be quite the project over time.

The Property:

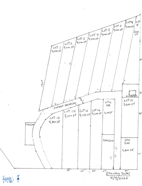
The property has 12 mobile home lots, with 11 of the 12 occupied where the people who live in them own the mobile homes.  The additional lot has a mobile home on it that needs significant work and is owned by the park. The mobile homes in this park are mostly towards the end of their useful economic life.

In addition to these lots, there are 2 small houses and a pole barn on the property.  1 house is a 2 bed 1 bath that is rented out and the other is a 1 bed 1 bath ready to be rented. The pole barn is currently rented out.

This property sits on 4.5 acres in Royalton Township (between St Joseph and Berrien Springs).  It is on the corner of a busy road and a dead end street.

In March of 2026 that state of Michigan started requiring mobile home park owners to make a scale map and submit to LARA. This took a ton of effort for what it is. No previous lot maps had been made for this park.

The Listing:

I typically check Zillow and the commercial listings on SWMRIC at least once a day, even though we were not looking to buy I like to see what’s happening in the market. This property caught my eye on the day it was listed, with a listing price of $250,000. The price seemed reasonable and the property checks a lot of boxes for us:

  • Affordable/ low cost housing.
  • Not in Benton Harbor: The vast majority of our investment dollars are in and around Benton Harbor.  Having some diversification here would be good.
  • Multifamily: Multifamily is typically evaluated based on Net Operating Income and not comparable sales, this allows me to force an increase in valuation through increasing the income.
  • Ability for value add: This park has significant potential for value add.
  • Already producing income: This is really important and another reason I like Multifamily because there is positive cash flow on day 1.
  • More total dollars invested in real estate.

Utilities:

The park provides water (well) and septic, as well as trash service (Large dumpster).  The heat source for all the mobile homes is highly variable. Some have propane, others have natural gas, and some heat with electric.

The Tour:

I believe we were the first people to view the property. One of my favorite movie lines is from Margin Call, when Jeremy Irons states (paraphrased) “There are 3 ways win, to cheat, be smarter, or be first, I don’t cheat, and while I think we are pretty smart it sure is a lot easier to just be first.” I often hear Realtors claim to sellers that their first offer is generally going to be their best as well. Don’t under estimate the power of getting an offer in first.

The owner of the property gave us a tour of the property and answered all our questions for almost an hour.  When we were leaving we ran into 2 other groups who were ready to view the property as well.  We had an offer written up by the time they finished seeing it, and had the offer submitted within a few hours of seeing the property.

During the tour we were able to view the inside of the well pump house, the small house, and the trailer that needs work, as well as the pole barn and the outside of the other mobile homes. I feel we developed a good rapport with the seller, and signaled that we had the financial strength to close on a deal like this.

That night a friend of ours contacted the listing agent to ask a question on the property and was told the seller had accepted an offer. About an hour later our Realtor called us to let us know that we got it. He wanted to wait until the signed documents came through to tell us. When we bought the 7 unit in 2024 the seller had called and said they accepted, then didn’t sign the next day waiting for another offer to come through, so I understand our Realtor holding back on letting us know we got it.

The Offer:

We offered $255,000 with an escalation clause to pay $1,000 more than the next offer up to $275,000.  In general in a multiple bid scenario, especially when I think I am first I like to offer $5,000 to $6,000 more than asking, especially with a clean, no inspections offer.  The escalation clause also signals that we have the ability to pay more, which increases the likelihood that we can close on it.

The escalation clause worked well for us on the short term rental house we purchased in our neighborhood.  When looking at an offer like this, if I overpaid by $5,000 or $10,000 or $20,000 I have to ask myself will it matter in 5 years? and the answer is likely no.  We paid $6,000 over ask for the 6 unit we bought in 2022, and it is irrelevant to us now whether we would have paid $150,000 or $200,000 for that property (We paid $171,000).

Get your offers in quick, clean, and with a taste of money over ask, as well as an escalation clause!

The Financials:

In the last 12 months the property grossed $55,400 and netted $38,500.  Any asset that nets $38,000 and costs $255,000 is a great deal on paper.  This is a cap rate of 15.1%. Other similar parks on the market further out from us are listing closer to a 9% cap rate. A 9% cap rate would value this property at $427,000.

Most lot rents are at $325, the 2 bedroom house is at $800, and the pole barn is at $300.

Although the listing stated there is room to increase lot rents, I don’t know if I agree. While other parks in the county charge more, most of them are larger parks with lots of amenities, like pools, ponds, playgrounds, and laundry facilities. Many have larger lots as well.  While looking at google maps I found that from at least 2016 to at least October 2023 the park had a sign advertising $275/mo for lot rent. If the lot rent has increased by $50 over the last 2 and a half years, a new increase now would be difficult for those living there to handle. For what this park offers I think the current lot rent is reasonable.

Financing:

In 2022 we bought our 6 unit apartment building for $171,000 and over the last 3.5 years have invested over $60,000 and hundreds of hours of sweat equity into the property.  We just finished a cash out refinance based on a new appraisal of $360,000. We were able to take out $150,000 of equity. Most of this cash we used to pay off higher interest rate debt from other rehabs and acquisitions.

I contacted the same commercial lender we worked with to get that loan, and he stated that his bank was not currently interested in lending on mobile home parks.  I’m thankful that he was quick to let me know. I had resigned that we would have to pass on this deal, then Mrs. C. reached out to our Realtor who suggested another lender that others in his office had worked with.  We got a response from that lender within an hour and had a pre-approval that evening.

We later found that this lender was effectively a middle man broker who connected us with another actual commercial lender.  Financing took much longer than expected. It was about a week before we got an official offer from the end lender, and even then it wasn’t a “real offer” for financing, it was them willing to run the numbers.  This lender took around 6 weeks to process everything with two significant delays in declaring they would fund.

The appraisal also took forever to come back.  We had to pay $2,200 for the appraisal.

For this $255,000 property needed to put down 30%, and had around $5,000 in closing costs for total cash out of pocket of $81,500. This is coming from that cash out refinance.  For the balance of $178,500 We were able to get a 20 year amortization loan at 6.68% for a total payment of $1,349 per month, with $993 going to interest and $356 to principal at the start of the loan. Like most commercial loans this balloons in 5 years, so at that point I either need to pay it off or refinance it.

Insurance:

Lenders require insurance and they wanted the property insured for the loan amount.

We thought this would be easy.  The previous owner gave us the contact info for his insurance agent and we figured since they are already insuring this property it would be straight forward for us to get insurance through them.  Mrs. C. contacted them and they told her that they had insured the property since the 60’s and it should be no problem at all. About a week later they come back and stated that the actual insurer (we were dealing with an insurance middle man) would not insure us because we did not have 3 years of experience managing a mobile home park.  It did not matter that we have had rentals for many years and multifamily for 4 years (or that the previous owner had no rental experience when they insured him when he bought the park), they would not insure us.

We then started to find out that insuring this property would be next to impossible.  Most commercial insurance places don’t want to deal with mobile home parks.  We then contacted several mobile home park insurance companies across the country.  Most would not touch it because it also has the 2 houses.  They only do mobile home parks. One of them wanted deep details on every individual mobile home in the park and a 5 page questionnaire filled out.

We found a company that seemed like it would work. They were willing to insure the property, great! But they could not get to the value of insurance the lender wanted, since they could only provide rebuild insurance for the 2 houses and the pole barn.  This was crazy to me because I usually have the opposite problem where they say the rebuild is some super high number, way above the cost of the property or the loan amount.

Finally Mrs. C. found an insurance provider that would work, after dozens of hours, phone calls, and emails across 4 weeks.

Initial Steps:

To start with we need to meet the community members and see what issues if any they are having. This is especially needed for the house that is a rental unit and not occupant owned. We closed on the property at the start of the month and have had positive communication with all but 1 of the tenants.

We need to get all payments transferred over to our accounts, with a preference for online payments. I want to ease people’s minds and let them know that for a minimum of the next 12 months we will not do any lot rent increases. It has been a common occurrence with mobile home park sales where the rents skyrocket immediately after a sale.  I don’t want to bind my hands too much, but I think knowing no increases will happen at least for 12 months will give people some ease of mind.

I will have the septic pumped and inspected. I am guessing this will cost about 5X what a normal septic tank costs to pump because it is so much bigger. I would like to replace the well pressure tank, however I think the well house may have been built around it. It is super old and needs to be recharged about every 6 months. I would rather not do this, so if there is an option for replacement I want to explore that.

I will establish a tool shed, likely in the well pump house to have all common tools I may need over there. Most of the stuff I would need are plumbing and landscaping related.

We need to figure out mowing.  We likely need a dedicated riding mower stored over there, and a shed to put it in. Perhaps this first year we will hire an outside company to do the mowing.

Problems:

The previous owner did not inform anyone that the property was for sale, and then sent them all a text message after the sale was completed, which was on April 1st, so some thought it was a joke. He also asked us immediately after closing to not mention the park had sold until he had a chance to talk to all the residents.

We did not attempt to talk to anyone who lived there prior to putting in an offer. I think with multifamily this is a good idea and should be done. We would have learned about some of the challenges the park has more in depth and current interpersonal conflicts.

The previous owner was mostly “hands off” and to some extent this has allowed a few of the mobile home owners to start effectively running the place, by taking over common spaces and not following the rules the park had.

Michigan State Law” Michigan laws make dealing with mobile home owners difficult. We have historically been landlords and it generally takes 30 to 60 days to get someone out for non payment of rent or lease violations.  For mobile home parks this is a more difficult process. With these being older mobile homes being older it is highly unlikely someone will move them and then if we do evict someone we are required to secure it and let it sit for several months before we can dispose of it or utilize it.  The best scenario for us would be to make a deal to purchase their mobile home if we want someone out of the park.

Increasing Income:

I already discussed at this point I don’t think increasing lot rents is a good path for the near term, so this will not be a source of increased income for at least the next year. In general with 12 lots, every $25 increase per month is $300 per month in gross income or $3,600 per year. Increasing lot rents also increases vacancy rate, and vacancies require a much larger capital investment on our part, because we either have to convince someone who owns a mobile home to move theirs here, or we need to buy one out of pocket. At this point in time it is not worth the squeeze to attempt an increase.

For the last 12 months the average gross income was $4,616. Currently income is at $4,075 with 2 lots behind, 1 vacant lot, and the 1 house that is vacant.  I am planning to exit 2026 with above $6,000 in gross income.

The first step is to get the two lots that are behind to start paying. Ideally this can be done without going through the court system.  Getting these two back online brings the income back up to $4,725/mo.

In conjunction with this we have the small house that is almost rent ready.  Most likely with a weekend of work we could have this place truly rent ready. I think for a 1 bedroom house at this location I should be able to get around $750/mo for rent.  This would bring the total up to $5,475.

Next we will work on rehabbing the mobile home that is vacant so that we can rent it out.  I plan to put this on the back burner and not attack until all other rehab projects we have done are pending, which means it will likely be mid summer before we touch it. When it is complete it will be a 3 bedroom 1 bath home for rent and I think I should be able to get close to $900/mo for it, bringing the total rent to $6,375.

After this, the primary way to increase income is through buying mobile homes from people when they want to leave and turning them into rentals.

Reducing Expenses:

This may actually be tough. The expenses are already fairly low and some of them will increase due to the sale of the property.

Property Taxes: Property taxes will likely more than double because we are paying more than twice the current taxable income for it. I would have a really hard time arguing that the property is worth less than what I paid for it. On the bright side at least the high taxes will not be going to fund Benton Harbor School District this time.

Total estimated property taxes for this property are $5,200 based on what I am paying for it. Across 14 residences this is $32/mo each, about 10% of the lot rent.

Electric: I think I can make some tracks here. For the last year the owner paid $2,000 in electric costs. Most of this was for the pump house, covering the well pump and heat for the well pump house. I would likely insulate the pump house and switch out the heater to a less powerful one.  I would not be surprised if I can cut this bill in half. Another capital investment to lower this cost is updated the pressure tank which needs updating anyways.  A larger pressure tank will cause the pump to cycle less often.

Garbage: This is another one that will likely go up. It looks like the owner has not kept up with his garbage bill, so this is under reported.  Currently he has an 8 yard dumpster picked up weekly. I don’t think it would be appropriate to drop this to a 4 yard with the number of people that live here.  I am a strong believer in maintaining extra trash capacity. When people don’t have an easy method to dispose of stuff junk ends up piling around buildings. Mrs. C. was able to get another company to provide the same size dumpster for around $75/mo less. Some residents have told us that they really need more total dumpster space, however this is due to some individuals disposing of big things like furniture in the dumpsters. If only household trash is used, an 8 yard dumpster for 14 homes is reasonable.

Legal Fees: The previous owner spent over $3,000 in legal fees for eviction cases. With these mobile homes there is the opportunity for me to purchase their assets for a low dollar amount in exchange for keys for a non paying tenant.  The previous owner wanted nothing to do with being a landlord, so this option wouldn’t have worked for him, which is why he used the court system to get people out.  I could likely pay $4,000 to $5,000 for a mobile home to get someone to leave, invest another $5,000 fixing it up, then renting it out for $700+ a month, getting a large return on investment and being able to choose who lives there.  For someone struggling to make a $325 lot payment a $5,000 cash buyout is likely life changing.

It’s clear to me that the primary upside for this property is in increasing its income, not reducing expenses.

Future Opportunities:

Long term the real method to maximizing income for a property like this is to own the trailers, replace with new or at least much newer, and owner finance them to tenant buyers over a long term OR rent them out.  This solves several issues:

  1. It gives me control over the mobile home. Mobile home lenders have a quicker ability to force removal for non payment than the mobile home lot owners. Mobile home landlords have even more control.
  2. It greatly increases the quality of the mobile homes: The average mobile home in this park is over 40 years old.  If I on average replace 1 a year for a decade, then the average home age will be 5 years old at the end of the decade instead of 50.
  3. Newer homes makes people more likely to want to live here. Many of the current residents have only been in the park for a few years. My guess is that as the people who live here increase their economic position they tend to move out.  Having newer trailers available will likely keep people longer.
  4. It produces much more income. I can make income off the interest payments for seller financing and off the spread between the price I pay for the unit and the price I sell it for. If renting I can charge a rental rate similar to that of a stick built home.
  5. If all the homes in the park are nicer it is easier to justify increasing lot rent.

This would be a lot of capital expenditure. If I did 1 home per year for 10 years at an average cost of the purchase, delivery, and installation of $50,000 and income of $650 per month from each (over the $325 lot rent, for $975 total cost for a 2 bedroom), It would take about 6 years for each home to recoup its cost.   I would have a maximum of $136,000 of capital expenditure out there in year 6, with all of them paid off at the conclusion of year 11. This math is ignoring any other expenses and assuming every dollar earned from the financing went to paying down this debt.

Year 11 and onward would still have 78,000 coming in per year above and beyond the lot rent, sure some of these payments will be principal paydown, but not much, especially on 20 year financing.

It is more likely that this would be done in groups, like 3 in a year instead of 1 each year. It is also more likely I would be buying 15 to 20 year old mobile homes for half the price.

The next item is to build out more on the vacant areas of the park.

Option 1: more mobile home lots: This would be largely up to the township if I can add more spaces. This is another thing that is more likely to occur after I update all the units to new.  If the township thinks I am going to throw $5,000 1980’s trailers on the lots, they are less likely to approve the plan. This is the highest and best use for this property. Aside from mobile homes, tiny houses would be the next option to pursue. If on the same land I can spend an average of $60K per added lot with a trailer and rent out for $900 to $1,000 a month it would be like having an infinite source of great real estate deals.  In this 2nd phase of the park I would leave more space between the homes and could probably add around 8 total. Perhaps instead of making them mobile home sites I could make them RV sites and run a separate small RV park.  The downside to extra lots is then there are more people and more potential for conflict in the park.

Option 2: Build a 4 plex to use as short term rentals and fence off the yard to make it fully separate from the park.  Since it is zoned commercial this should be doable. We have extensive experience running STRs in a multifamily building.  This would be a major investment.  I believe this would be a big money maker. In addition to the regular tourism of southwest Michigan, this location is less than 10 miles from the DC Cook nuclear plant.

Option 3:  After housing, my next idea would be to have storage units with road frontage on M-139.  In general our area is over built for storage, and there is even a storage unit business right down the street. Storage units have the advantage of being able to earn money without frequent owner input. If I already have the flat land zoned commercial, half the cost and hassle is already taken care of. We would hire out the construction of the building and driveway then start operations from there. 

Option 4: Used car space rental:  People have historically had used cars here for sale. I could have effectively a used car lot where people can either rent a parking space to advertise a single car, or a permanent space on a monthly basis to sell multiple vehicles.

Option 5: I would like to put in some amenities. My favorite memories from when I was a kid were of walking down to the small playground at my trailer park with my sister and playing on the toys. I think there might have been a slide, a swing set and small money bars.  Something like that would be good to have there.  I could possible dig a small pond and stock with fish so people could fish there as well.

Option 6: Sell a segment to Dollar General: This is the point furthest from an existing Dollar General in our county. There is almost a 4 mile radius devoid of a Dollar General here.  (joking!). I do think I could cut off about an acre and sell it, but that is not in my current plans.

 

What do you think of this mobile home park? 

John C. started Action Economics in 2013 as a way to gain more knowledge on personal financial planning and to share that knowledge with others. Action Economics focuses on paying off the house, reducing taxes, and building wealth. John is the author of the book For My Children's Children: A Practical Guide For Building Generational Wealth.

Leave a Reply

Your email address will not be published. Required fields are marked *